HOW MUCH WOULD YOU LIKE TO OFFER FOR THIS PROPERTY?
Additional details

$ 339,900
Est. payment /mo
Active
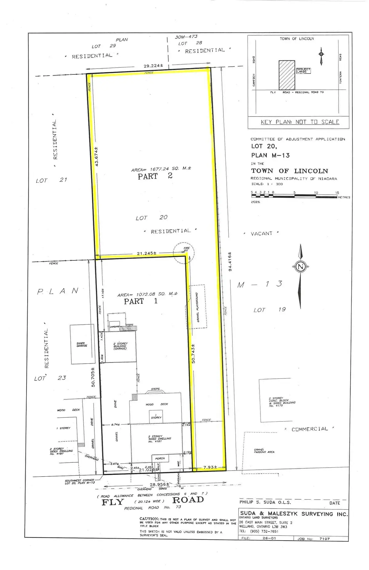
4179 Fly RD Lincoln, ON L0R 1G0
UPDATED:
Key Details
Property Type Vacant Land
Sub Type Vacant Land
Listing Status Active
Purchase Type For Sale
Subdivision 980 - Lincoln-Jordan/Vineland
MLS Listing ID X12923888
Tax Year 2026
Property Sub-Type Vacant Land
Property Description
Build your dream home on this beautiful building lot located in the Hamlet of Campden and only minutes away from the Village of Vineland and the Town of Beamsville. This residential building lot has recently been severed! Municipal sewers are available and will be installed into the lot and included in the list price. Hydro and natural gas are also available. This beautiful area still has that 'country' feel but is close to all amenities making it a desirable and fantastic location. Taxes to be determined. Zoning allows for 2 units to be built on the property which makes it ideal for in-law apartment for the kids or in-laws or build an accessory dwelling with the house and then rent it to help pay for the mortgage.
Location
Province ON
County Niagara
Area Niagara
Rooms
Kitchen 0
Exterior
Waterfront Description None
Lot Frontage 26.0
Lot Depth 309.0
Others
ParcelsYN No
Listed by COLDWELL BANKER MOMENTUM REALTY, BROKERAGE

